AD ID: 13080682 • Phnom Penh • Just now
$19,800
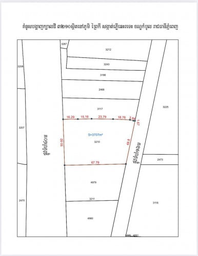
ដីសំរាប់លក់ទល់មុខគម្រោងដីឡូតិ៍ឡេង ណាវ៉ាត្រាផ្លូវ៥១ និងគម្រោងTLL ទំហំដី : 10m x 20m តំលៃ : 19800$ ទីតាំង : ស្ថិតនៅលេីផ្លូវកែង ភូមិអង្គតាសិច ឃុំទួលព្រេជ ស្រុកអង្គស្នួល ខេត្តកណ្តល។ ស្ថិតខាងក្រោយរោងចក្រ ជាប់ផ្លូវ៥១។ ទល់មុខគម្រោងផ្ទះល្វែង និងដីឡូតិ៍១៣០ហិចតា TLL និងគម្រោងដីឡូតិ៍ឡេង ណាវ៉ាត្រា ៣០០ ហិចតា ដែលជាប់ផ្លុវ៥១ នឹងដែរ។ ប្រភេទៈ ដីអាចសាសង់ផ្ទះ ឬធ្វេីបន្ទប់ជួលក៍បាន។ ទំនាក់ទំនងលេខទូស័ព្ទ : 095766xxxClick To Call/ 015222xxxClick To Call សូមចូលមេីលផែនទីតាម line ខាងក្រោម https://maps.app.goo.gl/F24NW3BxRofGCQ5w6
Location: Tang korsang, Pochentong Kakab 1, Por Senchey, Phnom Penh
Contact Info: Please don't forget to mention that you found this ad on khmer24.com.


Nith
@lorntheanith
Members Since 2011-09-28 08:42:46


Phnom Penh , Tang korsang, Pochentong
ព័ត៌មានសុវត្ថិភាពសម្រាប់អ្នកទិញ
Safety Tips for Buyers
មិនត្រូវធ្វើការផ្ញើប្រាក់ទៅមុន មុនពេលទទួលទំនិញ
Do note sent money before receiving the goods
សូមពិនិត្យមើលទំនិញមុនពេលដែលអ្នកទិញ
Check the item before you buy
បង់ប្រាក់បន្ទាប់ពីទទួលបានទំនិញ
Payment ofter receiving the goods
ត្រូវជួបអ្នកលក់នៅទីតាំងដែលមានសុវត្ថិភាព
Meet the seller at a safe location
Report has been success!