AD ID: 13072476 • Kampong Thom • 5h
$55
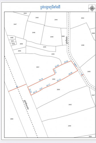
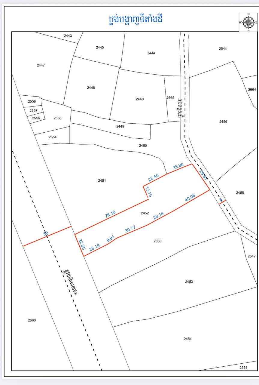
📢 ឱកាសល្អ! ដីលក់បន្ទាន់ ប្លង់រឹង ទីតាំងល្អជាប់ផ្លូវកៅស៊ូ ម្ចាស់ផ្ទាល់ត្រូវការលក់ដីដែលមានសក្តានុពលខ្លាំង ស្ថិតក្នុងតំបន់កំពុងអភិវឌ្ឍន៍ ផ្លូវជាតិលេខ៧១ ៖ • 📍 ទីតាំង៖ ភូមិយាយទៀង ឃុំបល្ល័ង្ក ស្រុកបារាយណ៍ ខេត្តកំពង់ធំ។ • 📏 ទំហំដី៖ 22.35m x 136.07m (សរុប 3,459m^2)។ • 💰 តម្លៃលក់៖ 55$/m^2 (តម្លៃសរុប 179,868$) – អាចចរចាបាន។ • 🛣️ លក្ខណៈពិសេស៖ * ដីជាប់ផ្លូវកៅស៊ូធំ ទល់មុខនឹងរោងចក្រក្ក្តារបន្ទះ ងាយស្រួលធ្វើដំណើរ និងដឹកជញ្ជូន។ • មានប្រព័ន្ធទឹក ភ្លើងរដ្ឋដល់ទីតាំងដី។ • ស័ក្តិសមសម្រាប់សង់ឃ្លាំង ផ្ទះត្រចៀកកាំ ការ៉ាស់សាំង ដាំដំនាំ ទុរ៉េន ឬទិញទុកចំណេញ។ 📞 សម្រាប់ព័ត៌មានបន្ថែម ឬទៅមើលទីតាំងផ្ទាល់៖ • លេខទូរស័ព្ទ៖ [012998xxxClick To Call]☎️ • តេឡេក្រាម (Telegram) 0978882xxxClick To Call https://maps.app.goo.gl/VBkrnWCqvPko95c69?g_st=ic 📝 សំរាប់អ្នកនាំម៉ូយមកទិញជូន 3%
Location: Phnom Penh Ballangk, Baray, Kampong Thom
Contact Info: Please don't forget to mention that you found this ad on khmer24.com.

ព័ត៌មានសុវត្ថិភាពសម្រាប់អ្នកទិញ
Safety Tips for Buyers
មិនត្រូវធ្វើការផ្ញើប្រាក់ទៅមុន មុនពេលទទួលទំនិញ
Do note sent money before receiving the goods
សូមពិនិត្យមើលទំនិញមុនពេលដែលអ្នកទិញ
Check the item before you buy
បង់ប្រាក់បន្ទាប់ពីទទួលបានទំនិញ
Payment ofter receiving the goods
ត្រូវជួបអ្នកលក់នៅទីតាំងដែលមានសុវត្ថិភាព
Meet the seller at a safe location
Report has been success!