AD ID: 12949525 • Phnom Penh • Just now
$270
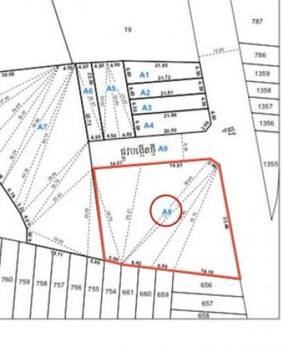
✔️ដីអាជីវកម្មលក់នៅឈូកវ៉ា1 ជិតផ្លូវ2011 📍សង្កាត់គោករកា ខណ្ឌព្រែកព្នៅ ភ្នំពេញ - - - - - - - - - - - - - - - - - - - - - - - ទំហំដី 33m x 35m(1143m²) តម្លៃ $270/m² ចរចា ប្លង់រឹង - - - - - - - - - - - - - - - - - - - - - - - ផ្លូវ12m កែងផ្លូវ8m អាចបើកអាជីវកម្ម ឬសង់ជាឃ្លាំងក៏បាន. . . ។ - - - - - - - - - - - - - - - - - - - - - - - ព័ត៍មានដីផ្សេងៗទៀត៖ 🔗 https://t.me/cityrealtys 📲Telegram https://t.me/menneou - - - - - - - - - - - - - - - - - - - - - - - Tel: 012696xxxClick To Call (Cellcard) 070696xxxClick To Call (Smart)
Location: សង្កាត់គោករកា Preaek Pnov, Preaek Pnov, Phnom Penh
Contact Info: Please don't forget to mention that you found this ad on khmer24.com.


ព័ត៌មានសុវត្ថិភាពសម្រាប់អ្នកទិញ
Safety Tips for Buyers
មិនត្រូវធ្វើការផ្ញើប្រាក់ទៅមុន មុនពេលទទួលទំនិញ
Do note sent money before receiving the goods
សូមពិនិត្យមើលទំនិញមុនពេលដែលអ្នកទិញ
Check the item before you buy
បង់ប្រាក់បន្ទាប់ពីទទួលបានទំនិញ
Payment ofter receiving the goods
ត្រូវជួបអ្នកលក់នៅទីតាំងដែលមានសុវត្ថិភាព
Meet the seller at a safe location
Report has been success!