AD ID: 12376154 • Phnom Penh • Just now
$125 1
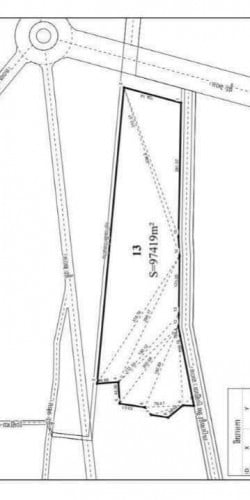
FS-5132 | ដីលក់ ទីតាំងតបន់អភិវឌ្ឍន៍បឹងតាមោក | Land for Sale at Boeung Tamork Development Area 📍 ទីតាំង / Location: តំបន់បឹងតាមោក Boeung Tamork Development Area 📐 ទំហំ / Size: 9.7 hectares (ក្បាលដី 126m) 📜 ប្លង់ / Title: Hard Title ⸻ ☎️ ទំនាក់ទំនង / Contact: 📱 0962169xxxClick To Call 📥 Telegram: https://t.me/lokthon1 ⸻ ព័ត៌មានបន្ថែម៖ https://t.me/landnetworkkh 🌐 LandNetwork.com – Connecting Land to Capital #ដីលក់ #LandForSale #BoeungTamork #KandalLand #HardTitle #LandNetwork
Location: ភ្នំពេញ Preaek Pnov, Preaek Pnov, Phnom Penh
Contact Info: Please don't forget to mention that you found this ad on khmer24.com.

ព័ត៌មានសុវត្ថិភាពសម្រាប់អ្នកទិញ
Safety Tips for Buyers
មិនត្រូវធ្វើការផ្ញើប្រាក់ទៅមុន មុនពេលទទួលទំនិញ
Do note sent money before receiving the goods
សូមពិនិត្យមើលទំនិញមុនពេលដែលអ្នកទិញ
Check the item before you buy
បង់ប្រាក់បន្ទាប់ពីទទួលបានទំនិញ
Payment ofter receiving the goods
ត្រូវជួបអ្នកលក់នៅទីតាំងដែលមានសុវត្ថិភាព
Meet the seller at a safe location
Report has been success!